JavaScriptの設定を有効にしてください
クリニック開業支援
NEW
北海道
テナント
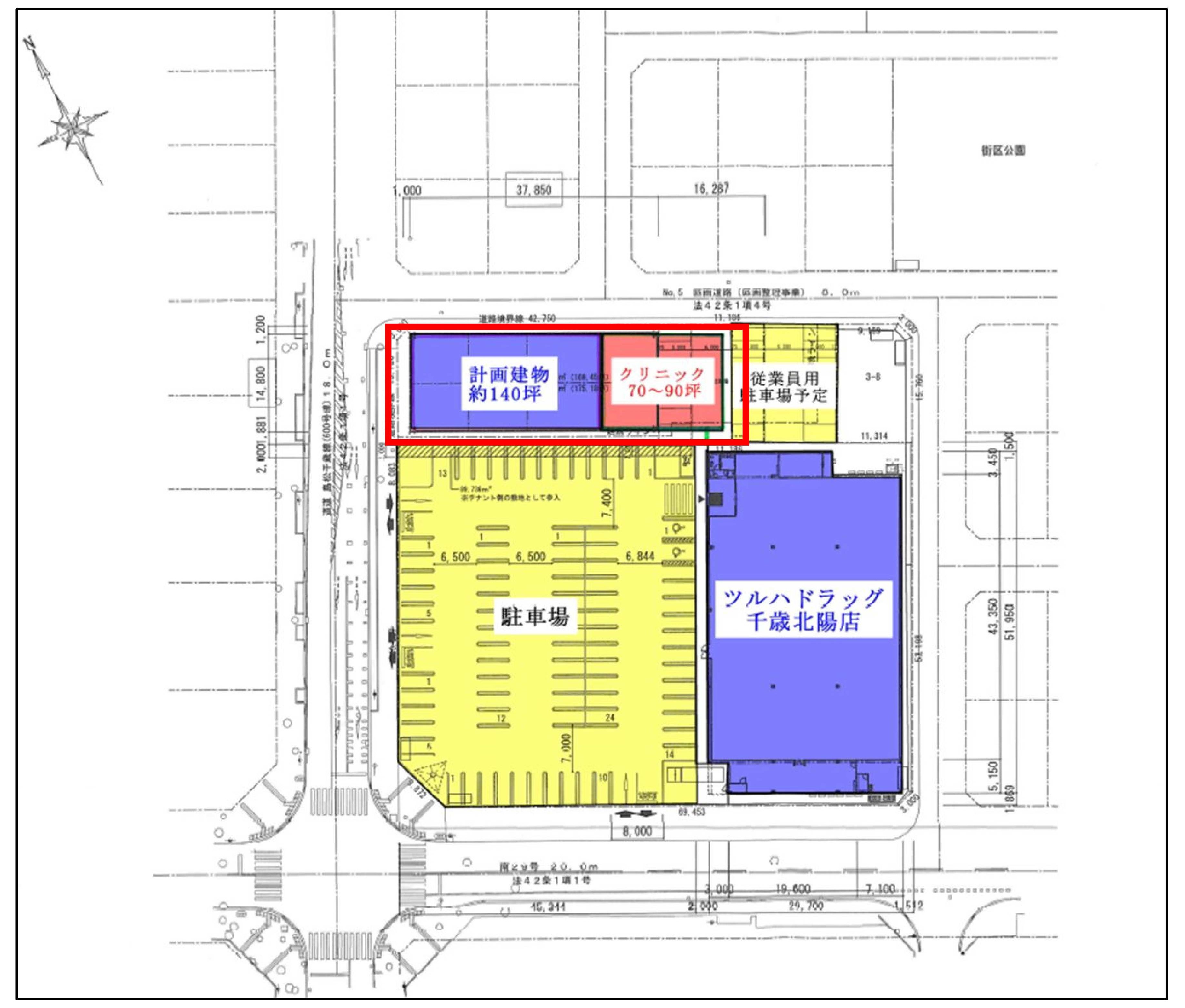
【新築】千歳北陽店 敷地内新築複合テナント内
駐車場完備/宣伝効果抜群/視認性抜群/
盛業中のドラッグストア敷地内への新築。
分譲住宅多数でファミリー層の多いエリア。
名称
千歳北陽店 敷地内テナント
物件形態
テナント
募集科目
内科/整形外科/耳鼻咽喉科/泌尿器科/脳神経外科/婦人科/眼科(歯科・美容系除く)
住所
北海道千歳市北信濃636-1
面積・賃料
区画
賃貸面積
賃料
共益費
月額賃料合計
区画
70~90坪
10,000円/坪
未定
700,000円~
900,000円
※区画面積の変更については応相談。
物件PR
■盛業中のドラッグストア敷地内への新築。宣伝効果抜群。
■駐車場90台完備。
画像をクリックすると拡大表示します
クリニック開業支援トップページへ戻る
お問い合わせ
北海道
東北
関東・甲信越
東海・中部
関西
中国
四国
九州・沖縄