JavaScriptの設定を有効にしてください
クリニック開業支援
東北
戸建レント
長町南店敷地内
集客効果抜群/視認性抜群/駐車場完備/
ドラッグストア第2駐車場内での医院募集。戸建レントを予定。
周辺住宅街で、ドラッグストア盛業中。
2023年4月眼科開院。
名称
ツルハドラッグ長町南店
物件形態
戸建レント
募集科目
内科/(歯科・美容系を除く)
住所
宮城県仙台市太白区長町南4丁目14
交通
地下鉄南北線「長町南駅」徒歩6分
面積・賃料
面積
賃料(坪)
共益費(坪)
月額合計
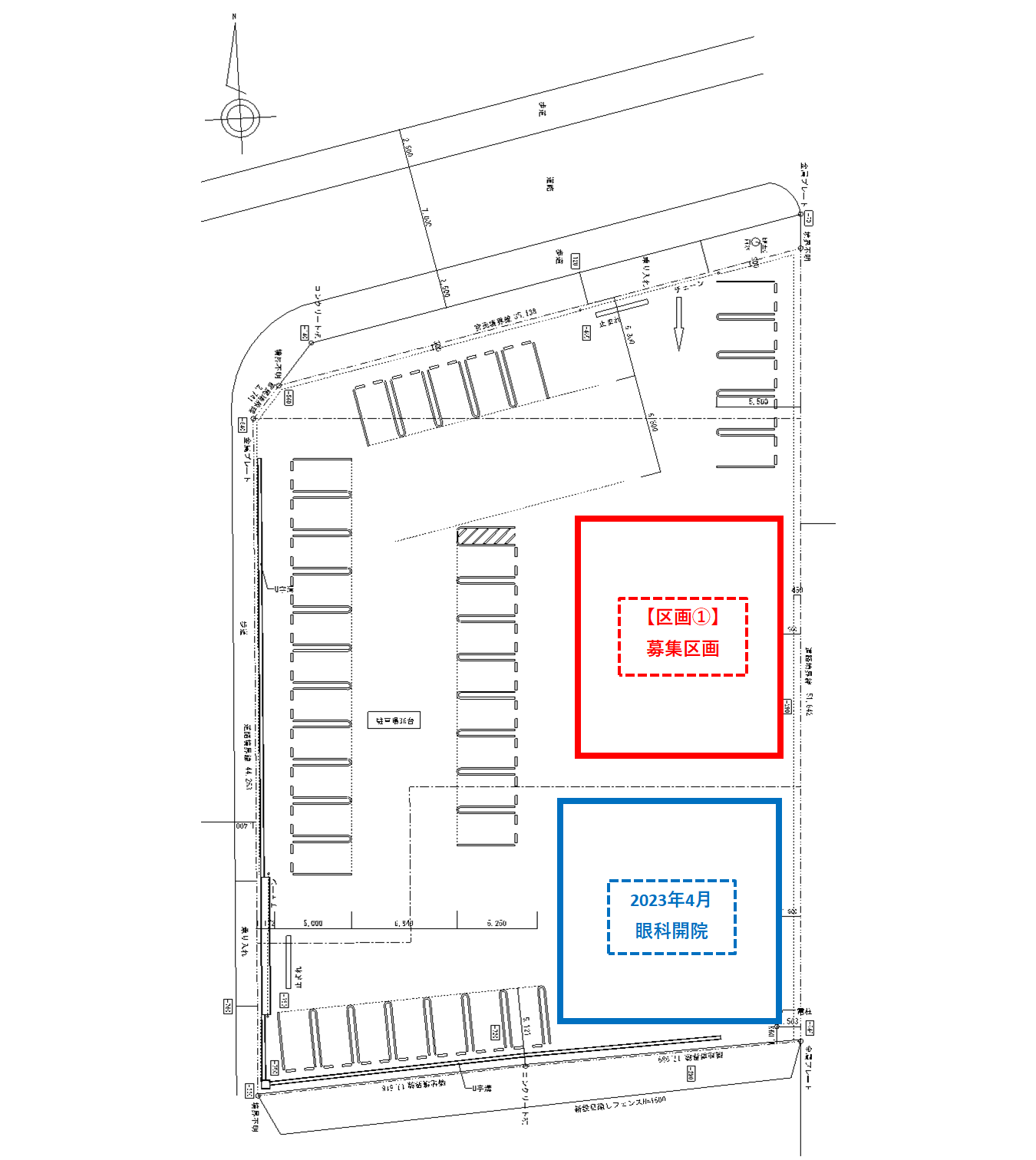
区画1
応相談
区画2
2023年4月 眼科開院
物件PR
■視認性・認知度抜群。
■ドラッグストア盛業中。
■駐車場完備。
画像をクリックすると拡大表示します
敷地配置図
募集区画図
募集区画
クリニック開業支援トップページへ戻る
お問い合わせ
北海道
東北
関東・甲信越
東海・中部
関西
中国
四国
九州・沖縄